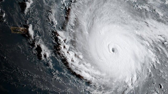
Hurricane Irma devastates the Caribbean

Annie

Reading — Intermediate Level
Share this exercise
Activity

Fill in the blanks with the missing sentences to complete the article


Missing sentences
  1. island residents came together

  2. there was nowhere left for people to shelter in safety

  3. decimated many islands in the Caribbean

  4. collecting food, clothing and other supplies

  5. energized as they look to the future

Hurricane Irma is the strongest storm of the Atlantic hurricane season with wind speeds of up to 185 mph (295 km/h). Irma quickly became a Category 5 cyclone and . Barbuda, for example, was practically flattened. On September 6, Barbuda's prime minister called for a complete evacuation of the island, saying it was "uninhabitable". The damage was so widespread that .

After all of this devastation, to help their neighbors. Social and religious organizations joined in for hurricane victims. Although the recovery will be long, this feeling of unity may be what will keep islanders .


Discussion

Practice your writing skills by discussing the questions below

  1. If you need to evacuate your home, what 5 possessions would you take with you?

  2. If a hurricane hit your residence, would you leave or stay?

  3. What are some ways you think people could rebuild their homes to keep them safer in a hurricane?

    Annie

    Need help?

    Ask a question or reserve a class with Annie

    Vocabulary

    Translate

    From English
    To
    No translation